Sesja nr V

UCHWAŁA Nr V/80/03 RADY MIEJSKIEJ W GRYFINIE z dnia 27 lutego 2003r W sprawie udzielenia gminnym instytucjom kultury bonifikaty od opłat rocznych za użytkowanie wieczyste nieruchomości gruntowych

    

UCHWAŁA Nr V/80/03
 RADY MIEJSKIEJ W GRYFINIE
z dnia 27 lutego 2003r.

w sprawie udzielenia gminnym instytucjom kultury bonifikaty od opłat rocznych za użytkowanie wieczyste nieruchomości gruntowych.


Na podstawie art.18 ust.2 pkt.9 lit. „a „ ustawy z dnia 8 marca 1990r o samorządzie gminnym / Dz.U. z 2001r Nr 142, poz.1591 , Dz.U. z 2002r Nr 23, poz.220 i Nr 62,poz.558 i Nr 113,poz.984 / oraz art.73 ust.3 ustawy z dnia 21 sierpnia 1997r o gospodarce nieruchomościami / Dz.U. z 2000r Nr 46, poz.543, Dz. U. z 2001r Nr 129,poz.l447 i Nr 154, poz.l800, Dz.U. z 2002r Nr 25,poz.253 , Nr 74,poz.676, Nr 126, poz.1070 i Nr 113,poz.984 / - uchwala się co następuje :

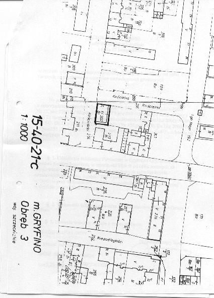
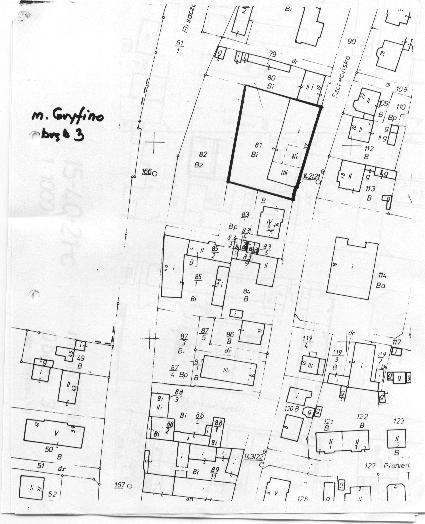
§ 1. Udziela się Bibliotece Publicznej w Gryfinie i Gryfińskiemu Domowi Kultury bonifikaty w wysokości 99,9 % od opłat rocznych za użytkowanie wieczyste nieruchomości gruntowych zabudowanych, oznaczonych numerami działek: 202 o powierzchni 278 m2, położonej w Gryfinie przy ul. Kościelnej 24( załącznik2 ) i 81 o powierzchni 1877 m2, położonej w Gryfinie przy ul. Szczecińskiej 17 ( załącznik1).

§ 2. Wykonanie uchwały powierza się Burmistrzowi Miasta i Gminy Gryfino.

§ 3. Uchwała wchodzi w życie z dniem podjęcia.

PRZEWODNICZĄCY RADY

Jan Ragan

Uzasadnienie

Biblioteka Publiczna w Gryfinie i Gryfiński Dom Kultury są samorządowymi instytucjami kultury, posiadającymi osobowość prawną od dnia 19 grudnia 2002r tj. od dnia wpisania ich „Rejestru instytucji kultury”, prowadzonego przez Urząd Miasta i Gminy w Gryfinie.

Jednostki te zarządzają nieruchomościami gruntowymi zabudowanymi oznaczonymi numerami działek : 202 o pow. 278 m2 / ul.Kościelna 24 - Biblioteka / i 81 o pow. 1877 m2 / ul.Szczecińska 24 - GDK /.

Na podstawie art.202 ustawy z dnia 21 sierpnia 1997r o gospodarce nieruchomościami, instytucje kultury, które uzyskały osobowość prawną, nabywają z mocy prawa, z dniem ich wpisu do rejestru instytucji kultury, użytkowanie wieczyste gruntów, którymi zarządzały w dniu 5 grudnia 1990r oraz własność położonych na nich budynków, innych urządzeń i lokali, jeżeli w dniu wejścia w życie ustawy nadal zarządzają tymi gruntami.

Nabycie własności budynków, innych urządzeń i lokali następuje nieodpłatnie.

Nabycie w/w praw stwierdza się w drodze decyzji Burmistrza Miasta i Gminy.

Zgodnie z art. 72 ust.2 pkt.3 w/w ustawy, za użytkowanie wieczyste przedmiotowych gruntów, instytucje te winny uiszczać opłatę roczną w wysokości 0,3% ceny gruntu ustalonej na podstawie wartości określonej przez rzeczoznawcę majątkowego.

Na podstawie art.73 ust.3 ustawy o gospodarce nieruchomościami, dla osób prawnych prowadzących między innymi działalność kulturalną, Burmistrz, za zgodą Rady, może udzielić bonifikaty od opłat rocznych za użytkowanie wieczyste nieruchomości gruntowych.

Biblioteka Publiczna i Gryfiński Dom Kultury są jednostkami, których działalność finansowana jest między innymi z dotacji otrzymywanych z Gminy - w związku z powyższym udzielenie bonifikaty od opłat rocznych za użytkowanie wieczyste gruntów w wysokości określonej w uchwale,   jest uzasadnione