Sesja nr XXIV

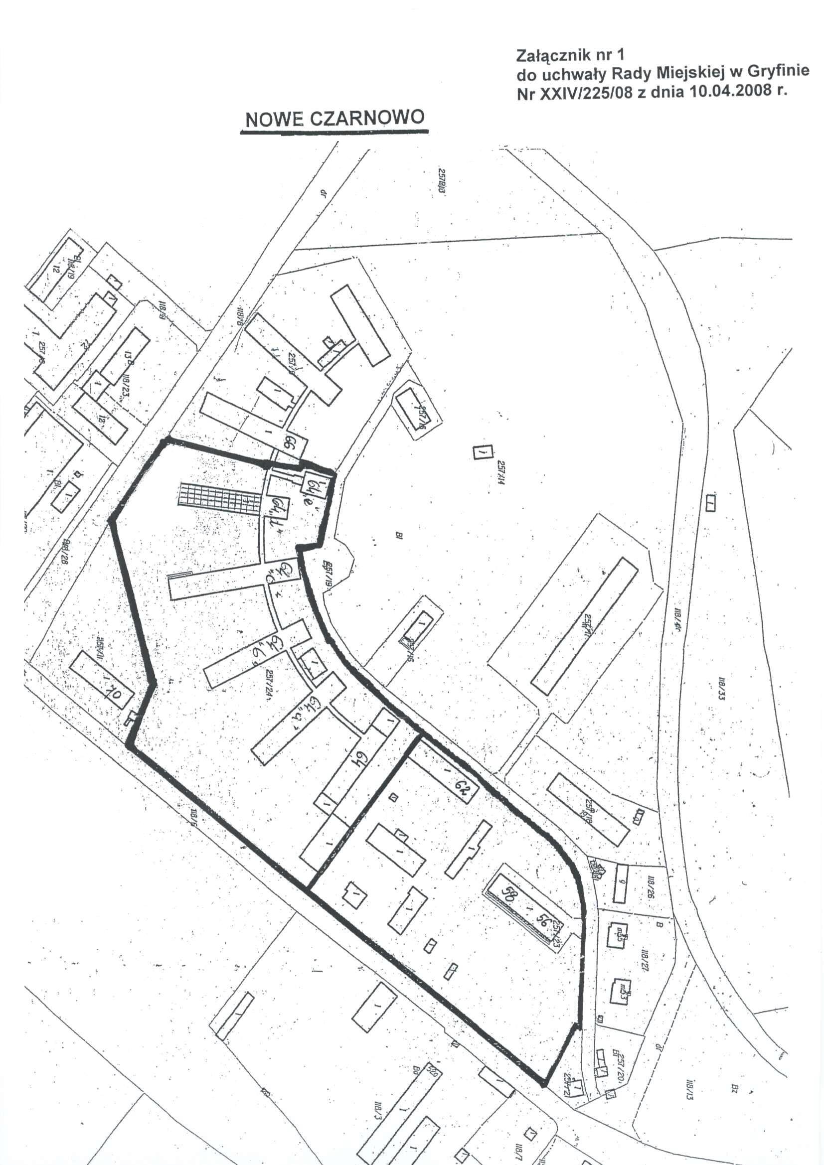
UCHWAŁA NR XXIV/225/08 RADY MIEJSKIEJ W GRYFINIE z dnia 10 kwietnia 2008 r. w sprawie przeznaczenia do oddania w najem na okres 10 lat, w drodze przetargu ustnego, nieograniczonego obiektów użytkowych po byłym sanatorium w Nowym Czarnowie, położonych na działce nr 257/24, z przeznaczeniem na cele komercyjne, z możliwością zawarcia bez przetargu na okres 10 lat umów dzierżawy gruntu stanowiącego część działki nr 257/24, z przeznaczeniem na cele parkingowe.

UCHWAŁA NR XXIV/225/08
RADY MIEJSKIEJ W GRYFINIE
z dnia 10 kwietnia 2008 r.


w sprawie przeznaczenia do oddania w najem na okres 10 lat, w drodze przetargu ustnego, nieograniczonego obiektów użytkowych po byłym sanatorium w Nowym Czarnowie, położonych na działce nr 257/24,  z przeznaczeniem na cele komercyjne, z możliwością zawarcia bez przetargu na okres 10 lat umów dzierżawy gruntu stanowiącego część działki nr 257/24, z przeznaczeniem na cele parkingowe.

Na podstawie art. 18 ust. 2 pkt 9 lit. a ustawy z dnia 8 marca 1990 r. o samorządzie gminnym  (Dz.U. z 2001 r. Nr 142, poz. 1591; z 2002 r. Nr 23, poz. 220, Nr 62, poz. 558, Nr 113, poz. 984, Nr 153, poz. 1271, Nr 214, poz. 1806; z 2003 r.  Nr 80, poz. 717, Nr 162, poz. 1568; z 2004 r. Nr 102, poz. 1055, Nr 116, poz. 1203, Nr 214, poz. 1806, z 2005 r., Nr 172, poz. 1441, Nr 175, poz. 1457; z 2006 r. Nr 17, poz. 128, Nr 181, poz. 1337; z 2007 r., Nr 48, poz. 327, Nr 173, poz. 1218), oraz art. 13 ust. 1, art. 37 ust. 1 i 4 art. 40 ust. 1 ustawy z dnia 21 sierpnia 1997 r. o gospodarce nieruchomościami ( tekst jednolity Dz.U. z 2004 r. Nr 261, poz. 2603, Nr 281, poz. 2782; z 2005 r. Nr 130, poz. 1087, Nr 169, poz. 1420 i Nr 175, poz. 1459; z 2006 r. Nr 104, poz. 708, Nr 220, poz. 1600 i 1601; z 2007 r. Nr 69, poz. 468, Nr 173, poz. 1218), - uchwala s i ę, co następuje:

§ 1. Przeznaczyć do oddania w najem na okres 10 lat, w drodze przetargu ustnego, nieograniczonego, z przeznaczeniem na cele komercyjne obiektów po byłym sanatorium w Nowym Czarnowie, położonych na działce nr 257/24, opisanych i oznaczonych w załączniku nr 1 i załączniku nr 2 do niniejszej uchwały, z możliwością zawarcia bez przetargu na okres 10 lat z najemcami tych obiektów umów dzierżawy gruntu, stanowiącego część działki nr 257/24, z przeznaczeniem na cele parkingowe.

§ 2. Ustalić cenę wywoławczą do przetargu na poszczególny obiekt w wysokości  5.000,00 zł.

§ 3. Wykonanie uchwały powierza się Burmistrzowi Miasta i Gminy Gryfino.

§ 4. Uchwała wchodzi w życie z dniem podjęcia.

 

PRZEWODNICZĄCY RADY

Mieczysław Sawaryn

 

U z a s a d n i e n i e

Działka oznaczona nr 257/24 wraz z obiektami po byłym sanatorium w Nowym Czarnowie przekazana została Gminie przez Województwo Zachodniopomorskie Aktem Notarialnym Repertorium A Nr 7870/2004 z dnia 27.12.2004 r.,  z przeznaczeniem na zaspokojenie zbiorowych potrzeb wspólnoty z zakresu gminnego budownictwa mieszkaniowego. Część przejętych pawilonów znajduje się w strefie ochronnej Zespołu Elektrowni „Dolna Odra” w Nowym Czarnowie, co wyklucza przeznaczenie ich na cele mieszkaniowe. W związku z tym wystąpiono do Marszałka Województwa Zachodniopomorskiego o wyrażenie zgody na zagospodarowanie przedmiotowych obiektów na inny cel. W dniu 27.02.2007 r. Sejmik Województwa Zachodniopomorskiego wyraził zgodę na odstąpienie od odwołania darowizny docelowej na rzecz Gminy Gryfino. Wg opracowanej koncepcji zagospodarowania terenu , część działki nr 257/24 leżąca w strefie ochronnej ZEDO S.A. przeznaczona jest na cele usługowe.  Zarząd Spółki nie jest zainteresowany przejęciem obiektów. Jeden z obiektów znajdujących się na działce nr 257/24, oznaczony nr 64d został już wynajęty Spółce Flegel Textilservice z przeznaczeniem na cele magazynowe.
W związku z tym, że stan techniczny pawilonów przeznaczonych do zachowania wymaga remontu, zabezpieczenie ich przed dalszą dewastacją związane jest ze sporymi nakładami finansowymi zasadnym jest oddanie ich w najem.
Trwałe zainwestowanie obiektów zapobiegnie ich dalszej degradacji oraz przyniesie dodatkowe dochody do budżetu Gminy.

Sporządził:
Wacław Rogojsza