Uchwały podjęte w roku 2008

UCHWAŁA NR XXXIII/330/08 RADY MIEJSKIEJ W GRYFINIE z dnia 27 listopada 2008r. w sprawie scalenia i podziału nieruchomości, położonych na terenie obrębu Wełtyń gmina Gryfino.

UCHWAŁA NR XXXIII/330/08
RADY MIEJSKIEJ W GRYFINIE
z dnia 27 listopada 2008r.


w sprawie scalenia i podziału nieruchomości, położonych na terenie obrębu Wełtyń gmina Gryfino.

Na podstawie art. 18 ust. 2 pkt. 15 ustawy z dnia 8 marca 1990 r. o samorządzie gminnym (Dz. U. z 2001r. Nr 142, poz. 1591; z 2002r., Nr 23, poz. 220, Nr 62, poz. 558, Nr 113, poz. 984, Nr 153, poz. 1271, Nr 214, poz. 1806; z 2003 r., Nr 80, poz. 717, Nr 162, poz.1568; z 2004 r., Nr 102, poz. 1055, Nr 116, poz. 1203, Nr 214, poz. 1806; z 2005 r., Nr 172, poz.1441, Nr 175, poz.1457; z 2006 r., Nr 17, poz. 128, Nr 181, poz. 1337; z 2007 r., Nr 48, poz. 327, Nr 138, poz. 974, Nr 173, poz. 1218 ) z 2008r., Nr 180, poz. 1111) oraz art. 104 ust. 1,2, art. 107 ustawy z dnia 21 sierpnia 1997r. o gospodarce nieruchomościami (Dz. U. z 2004 r. Nr 261, poz. 2603, Nr 281, poz. 2782; z 2005 r. Nr 130, poz.1087, Nr 169, poz. 1420, Nr 175, poz. 1459; z 2006 r., nr 104, poz. 708, Nr 220, poz. 1600 i 1601; z 2007 r. Nr 69, poz. 468, Nr 173, poz.1218; z 2008 r. Nr 59, poz.369) w związku z § 11 Rozporządzenia Rady Ministrów z dnia 4 maja 2005 r., w sprawie scalenia i podziału nieruchomości (Dz. U. z 2005r., Nr 86, poz. 736), - Rada Miejska w Gryfinie uchwala co następuje:

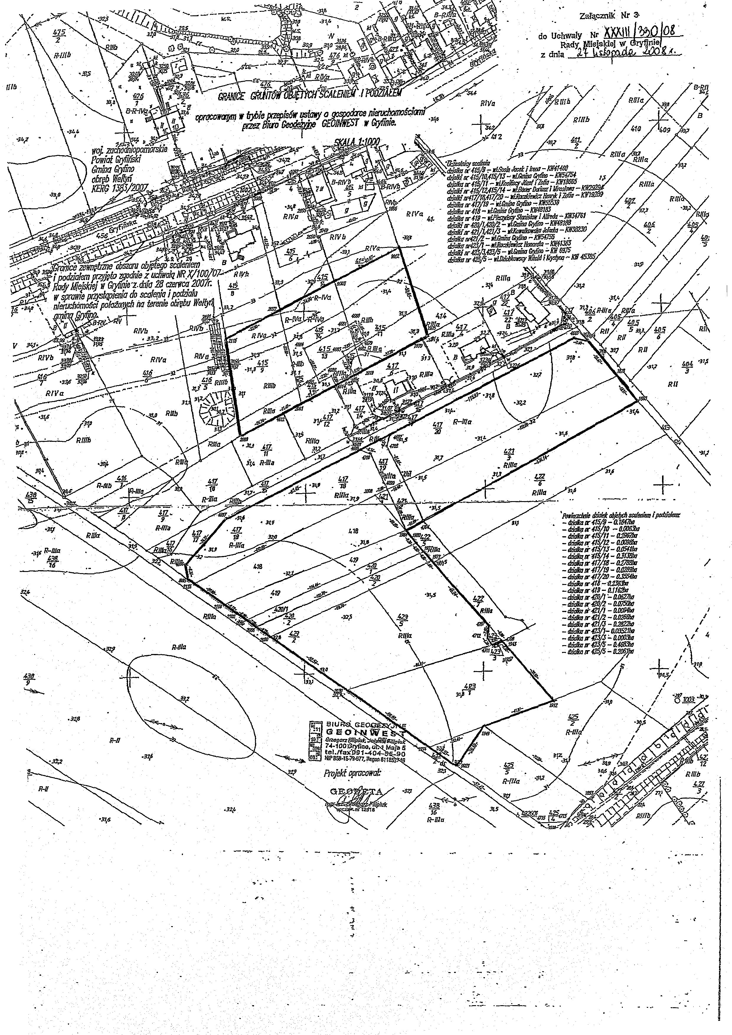
§ 1. Dokonuje się scalenia i podziału nieruchomości położonych w obrębie ewidencyjnym WEŁTYŃ gmina Gryfino, którego zakres obejmują niżej wymienione dokumenty, stanowiące załączniki do niniejszej uchwały:

  1. Mapa z geodezyjnym projektem scalenia i podziału nieruchomości, sporządzona przez geodetę Grzegorza Filipiuka – załącznik nr 1.
  2. Rejestr nieruchomości, z wykazaniem stanu dotychczasowego oraz stanu nowego po scaleniu i podziale, w tym nieruchomości przyznanych uczestnikom postępowania w zamian za nieruchomości będące ich własnością przed scaleniem i podziałem – zał. nr 2.
  3. Opracowane geodezyjnie granice gruntów objętych scaleniem i podziałem - załącznik nr 3.
  4. Wypis i wyrys z miejscowego planu zagospodarowania przestrzennego dla wsi Wełtyń, zatwierdzonego uchwałą Rady Miejskiej w Gryfinie Nr XIV/195/03 z dnia 30 października 2003 roku - zał. nr 4 .

§ 2. Na obszarze objętym scaleniem i podziałem, Gmina planuje wybudowanie niżej wymienione urządzenia infrastruktury technicznej:

  1. Sieć wodociągowa.
  2. Kanalizacja sanitarna,
  3. Kanalizacja deszczowa,
  4. Sieć elektroenergetyczna.

Planowane inwestycje finansowane będą ze środków własnych Gminy oraz z pozyskiwanych na ten cel środków z Unii Europejskiej.
Termin rozpoczęcia realizacji planowanych do wybudowania inwestycji określa się na rok 2009, a zakończenia na rok 2015.

§ 3. W zamian za nieruchomości objęte scaleniem i podziałem, każdy z dotychczasowych właścicieli otrzymuje na własność nieruchomości składające się z takiej liczby działek gruntu wydzielonych w wyniku scalenia i podziału, których łączna powierzchnia jest równa powierzchni dotychczasowej jego nieruchomości.
Za różnicę powierzchni będą dokonywane odpowiednie dopłaty określone przez rzeczoznawcę majątkowego, co obrazuje załącznik nr 5 do niniejszej uchwały.

§ 4. Osoby, które otrzymały nowe nieruchomości wydzielone w wyniku scalenia i podziału, są zobowiązane do wniesienia na rzecz gminy opłat adiacenckich w wysokości 30% wzrostu wartości tych nieruchomości, w stosunku do wartości nieruchomości dotychczas posiadanych;

  1. Terminy i sposób wnoszenia opłat adiacenckich oraz wzajemnych rozliczeń  finansowych, ustalono indywidualnie z uczestnikami scalenia i podziału, w spisanych protokołach uzgodnień.

Wysokość opłat adiacenckich wg przyjętej stawki procentowej obrazuje zestawienie tabelaryczne, stanowiące załącznik nr 5 do niniejszej uchwały.

§ 5. Ustala się terminy i sposób wnoszenia opłat adiacenckich dla osób, z którymi nie zostały zawarte ugody przez podpisanie protokołu uzgodnień w świetle przepisu art. 107 ust. 3 ustawy o gospodarce nieruchomościami;

  1. Ustalona w drodze decyzji Burmistrza Miasta i Gminy Gryfino opłata adiacencka, płatna będzie w ciągu 10 lat, w ratach rocznych płatnych do dnia 31 marca każdego roku kalendarzowego, począwszy od roku 2009.
  2. Opłata rozłożona na raty podlega oprocentowaniu przy zastosowaniu stopy procentowej równej stopie redyskonta weksli stosowanej przez Narodowy Bank Polski, pomniejszone o jeden punkt.

§ 6. Rozstrzygnięcie o sposobie załatwienia wniosków, uwag i zastrzeżeń złożonych przez uczestników postępowania:

  1. Wniosek Pana Bronisława Raczkiewicza o zmianę przydzielonych działek, został uwzględniony na bieżąco, zgodnie z życzeniem uczestnika scalenia i podziału.
  2. Wniosek Państwa Zofii i Józefa Kosińskich dotyczący zmiany sposobu podziału swojej działki oddala się jako sprzeczny z zapisami planu miejscowego zagospodarowania przestrzennego dla wsi Wełtyń.
  3. Wniosek Państwa Kosińskich w sprawie ustalenia sposobu i terminu wnoszenia opłat adiacenckich oraz dopłaty z tytułu nadwyżki powierzchni gruntu w przydzielonych działkach, został uwzględniony.

§ 7. Wykonanie uchwały powierza się Burmistrzowi Miasta i Gminy Gryfino.

§ 8. Uchwała wchodzi w życie z dniem podjęcia i podlega ogłoszeniu przez wywieszenie na tablicy ogłoszeń Urzędu Miasta i Gminy Gryfino.

 

PRZEWODNICZĄCY RADY

Mieczysław Sawaryn

 

UZASADNIENIE

Uchwałą Nr X/100/07 Rady Miejskiej w Gryfinie z dnia 28 czerwca 2007 roku przystąpiono do scalenia i podziału nieruchomości położonych na terenie obrębu Wełtyń gmina Gryfino, zgodnie z zapisami miejscowego planu zagospodarowania przestrzennego miasta i gminy Gryfino – rejon wsi Wełtyń, zatwierdzonego Uchwałą Rady Miejskiej w Gryfinie nr XIV/195/03 z dnia 30 października 2003 roku (publikacja: Dz.U.W.Z Nr 108 z dnia 27 listopada 2003 roku, poz. 1821).
Grunty objęte scaleniem i podziałem przeznaczone są na funkcję podstawową mieszkaniową w zabudowie jednorodzinnej (41MNj) oraz mieszkaniowo-usługową w zabudowie jednorodzinnej (40MNj/U). Ogólna powierzchnia gruntów objętych scaleniem i podziałem nieruchomości wynosi: 3,3637ha.
Właściciele nieruchomości położonych na terenie obszarów przeznaczonych do scalenia i podziału wnioskowali o przeprowadzenie scalenia i ponownego podziału nieruchomości, które umożliwi realizację założeń planu miejscowego, głównie budowę budynków mieszkalnych jednorodzinnych.
Projekt uchwały był wyłożony do wglądu uczestnikom scalenia i podziału w siedzibie urzędu gminy na okres 21 dni , w dniach od 12.08.2008 roku do dnia 02.09.2008 roku. W trakcie wyłożenia uczestnicy scalenia zapoznawali się również z wycenami szacunkowymi gruntów przed scaleniem oraz po scaleniu i podziale, które stanowią podstawę do naliczenia opłat adiacenckich.
Wszyscy uczestnicy postępowania otrzymają w zamian za nieruchomości objęte scaleniem i podziałem, wydzielone działki gruntu, odpowiadające w miarę możliwości powierzchni dotychczas posiadanej. Za różnicę w powierzchni będą dokonywane odpowiednie dopłaty określone przez rzeczoznawcę majątkowego.
Wnoszone przez uczestników scalenia propozycje zmiany przydzielanych działek gruntu, zostały rozpatrzone pozytywnie, zgodnie z życzeniem uczestników.
Pomiędzy Burmistrzem MiG Gryfino a uczestnikami scalenia i podziału zostały zawarte ugody, poprzez podpisanie protokołów uzgodnień odnośnie terminu i sposobu wnoszenia opłat adiacenckich oraz dopłat z tytułu nadwyżki bądź niedoboru powierzchni gruntu w przydzielonych działkach.
Jedynie uczestnicy scalenia i podziału, Państwo Zofia i Henryk Raczkiewicz oraz Bronisław Raczkiewicz – występujący jako pełnomocnik Pani Honoraty Raczkiewicz, nie podpisali protokołów uzgodnień, bez podania konkretnej przyczyny.
Zgodnie z wykładnią art. 107 ust.3 ustawy o gospodarce nieruchomościami, w przypadku osób z którymi nie zostały zawarte ugody, o terminie i sposobie zapłaty opłaty adiacenckiej, rozstrzyga rada gminy w § 5 niniejszej uchwały. Rada uczestników scalenia i podziału nieruchomości pozytywnie zaopiniowała projekt uchwały w sprawie scalenia i podziału nieruchomości, położonych na terenie obrębu Wełtryń gmina Gryfino.

Sporządziła:
Barbara Bara